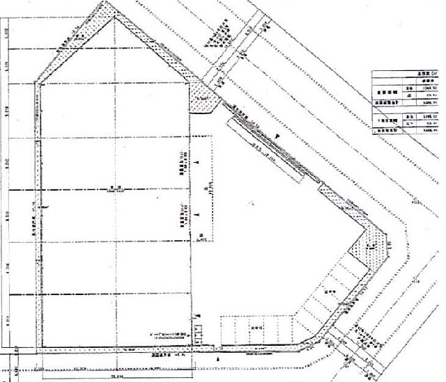
物件NO SL-0035 種別 貸倉庫 所在地 蕨市錦町2丁目 土地面積(坪) 988.99坪 価格/賃料 246.20万円 用途地域 準工業 現況 建蔽率 引渡し可能日 使用中・2026年6月使用開始 容積率 交通 東京外環 「外環浦和インター」2.2㎞ JR埼京線「戸田」駅徒歩11分 接道 北東16m その他 「賃貸条件」礼金:1ケ月 敷金:4ケ月契約期間:3年(更新可・更新料なし)天井高最大6m以上・大型車両進入可・電動シャッター2面 敷地3269.42㎡(988.99坪) 2003年築・1345.50㎡(407.01坪) 周辺マップ