簡単絞込み検索
売土地
-
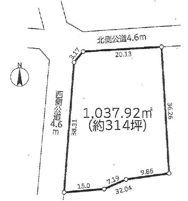
SG-0094
売土地所在地
埼玉県川越市大字石田本郷現況
更地用途地域
調整区域建蔽率
60%容積率
200%
価格/坪単価
15,600万円
/29.90万円面積(坪)
- 土地
- 521.51坪
- 建物
交通
関越「川越インター」8.8㎞
JR川越線・埼京線「南古谷」駅4.5㎞
接道
北8.2m 東4.5mその他
工場建築可・整形地 -
SG-0087
売土地所在地
埼玉県熊谷市上之現況
更地用途地域
調整区域建蔽率
60%容積率
200%
価格/坪単価
4,500万円
/14.40万円面積(坪)
- 土地
- 313.13坪
- 建物
交通
関越「花園インター」15㎞
JR高崎線「熊谷」駅2.2㎞
接道
北東20mその他
店舗用地・第二北大通り沿い・看板効果大 -
CG-0016
売土地所在地
千葉県野田市関宿台町現況
更地用途地域
2住居建蔽率
60%容積率
200%
価格/坪単価
9,960万円
/16万円面積(坪)
- 土地
- 622.49坪
- 建物
交通
圏央道「五霞インター」4㎞
東武日光線「幸手」駅8.5㎞
接道
東12.5m 南3.6m 西3.6mその他
県道17号流山街道沿い・店舗・事務所等用地 -
OG-0002
売土地所在地
茨城県神栖市横瀬現況
更地用途地域
調整区域建蔽率
容積率
価格/坪単価
2,849万円
/5.50万円面積(坪)
- 土地
- 517.27坪
- 建物
交通
東関東「潮来インター」15㎞
JR成田線「下総橘」駅4.3㎞
接道
南西25m 北西4mその他
国道124号線沿い -
CG-0015
売土地所在地
千葉県千葉市中央区大巌寺町現況
更地用途地域
調整区域建蔽率
容積率
価格/坪単価
3,500万円
/3.70万円面積(坪)
- 土地
- 954.33坪
- 建物
交通
京葉道「蘇我インター」1.8㎞
京成電鉄千原線「大森台」駅徒歩18分
接道
北5.5mその他
資材置き場・駐車場・敷地内電力あり -
CG-0014
売土地所在地
千葉県柏市藤ヶ谷現況
上物有用途地域
調整区域建蔽率
容積率
価格/坪単価
8,980万円
/11.60万円面積(坪)
- 土地
- 776.12坪
- 建物
交通
常磐「柏インター」15㎞
東武野田線「高柳」駅2.7㎞
接道
南西10mその他
2013年築事務所あり・資材置き場・車両置き場・大型車両進入可 -
CG-0010
売土地所在地
千葉県柏市藤ヶ谷現況
更地用途地域
調整区域建蔽率
容積率
価格/坪単価
12,000万円
/10.40万円面積(坪)
- 土地
- 1151.61坪
- 建物
交通
東京外環「松戸インター」13㎞
東武野田線「高柳」駅2㎞
接道
西3.6m 南3.2mその他
資材置き場・車両置き場・アスファルト舗装・外灯・浄化槽・トイレ・フェンス設置渡し -
CG-0009
売土地所在地
千葉県柏市藤ヶ谷現況
更地用途地域
調整区域建蔽率
容積率
価格/坪単価
4,800万円
/4万円面積(坪)
- 土地
- 1187.01坪
- 建物
交通
東京外環「松戸インター」13㎞
北総鉄道「西白井」駅1.7㎞
接道
北西4mその他
資材置き場・車両置き場 -
SG-0079
売土地所在地
埼玉県児玉郡上里町神保原町現況
上物有用途地域
無指定建蔽率
60%容積率
200%
価格/坪単価
1,100万円
/5.20万円面積(坪)
- 土地
- 211.53坪
- 建物
交通
関越「本庄児玉インター」5.1㎞
JR高崎線「神保原」駅徒歩9分
接道
南12mその他
国道17号線沿い・倉庫・工場・事務所・店舗等多目的用地 -
SG-0074
売土地所在地
埼玉県南埼玉郡宮代町中現況
更地用途地域
調整区域建蔽率
容積率
価格/坪単価
1,200万円
/5.20万円面積(坪)
- 土地
- 228.98坪
- 建物
交通
東北「蓮田スマートインター」6.5㎞
東武伊勢崎線「北春日部」駅2.6㎞
接道
南6m 北2.7mその他
資材置き場・車両置き場・両面道路・大型車可 -
SG-0072
売土地所在地
埼玉県春日部市赤沼現況
更地用途地域
調整区域建蔽率
60%容積率
200%
価格/坪単価
35,500万円
/35万円面積(坪)
- 土地
- 1013.86坪
- 建物
交通
東北「岩槻インター」11㎞
東武スカイツリーライン「武里」駅3㎞
接道
西33m 南6.2m 北6mその他
春日部市特定地域・公道4号線沿い・工業・商業・流通施設用地 -
SG-0069
売土地所在地
埼玉県越谷市平方現況
更地用途地域
調整区域建蔽率
60%容積率
200%
価格/坪単価
43,000万円
/30.20万円面積(坪)
- 土地
- 1423.87坪
- 建物
交通
東北「岩槻インター」10㎞
東武スカイツリーライン「武里」駅1.8㎞
接道
南8.5mその他
物流倉庫・自己用倉庫・介護施設等用地・水道設備 -
SG-0068
売土地所在地
埼玉県鴻巣市加美2丁目現況
上物有用途地域
1住居建蔽率
60%容積率
200%
価格/坪単価
5,800万円
/36万円面積(坪)
- 土地
- 161.27坪
- 建物
交通
圏央道「桶川加納インター」8.5㎞
JR高崎線「鴻巣」駅徒歩11分
接道
南西11mその他
旧中山道沿い・店舗・事務所・アパート等・都市ガス・本下水 -
SG-0062
売土地所在地
埼玉県川越市大字牛子現況
更地用途地域
調整区域建蔽率
容積率
価格/坪単価
2,500万円
/4.70万円面積(坪)
- 土地
- 536.18坪
- 建物
交通
関越「川越インター」6㎞
東武東上線「新河岸」駅徒歩21分
接道
北4mその他
資材置き場・車両置き場用地・建物建築不可 -
SG-0049
売土地所在地
埼玉県北足立郡伊奈町大字小室現況
更地用途地域
調整区域建蔽率
容積率
価格/坪単価
2,980万円
/4.10万円面積(坪)
- 土地
- 734.16坪
- 建物
交通
圏央道「白岡菖蒲インター」6.2㎞
埼玉新都市交通伊奈線「志久」駅徒歩18分
接道
西5.7m 南西7.5mその他
資材置き場・車両置き場・自働車修理工場・日用品販売店舗等 -
SG-0008
売土地所在地
埼玉県大里郡寄居町大字桜沢現況
更地用途地域
無指定建蔽率
60%容積率
200%
価格/坪単価
17,080万円
/14万円面積(坪)
- 土地
- 1220.28坪
- 建物
交通
関越「花園インター」4.7㎞
東武東上線「寄居」駅2.3㎞
接道
東11m 北1.5m 南1.8mその他
工場・倉庫用地・秩父鉄道「桜沢」駅徒歩2分 -
SG-0091
売土地所在地
埼玉県深谷市新戒現況
更地用途地域
無指定建蔽率
60%容積率
200%
価格/坪単価
2,980万円
/4.40万円面積(坪)
- 土地
- 673.15坪
- 建物
交通
関越「本庄児玉インター」12㎞
JR高崎線「深谷」駅4㎞
接道
南5mその他
倉庫・資材置き場・駐車場・太陽光等多目的用地 -
SG-0045
売土地所在地
埼玉県入間郡毛呂山町前久保南2丁目現況
更地用途地域
1中高層住居建蔽率
60%容積率
200%
価格/坪単価
3,280万円
/14.90万円面積(坪)
- 土地
- 220.2坪
- 建物
交通
関越「鶴ヶ島インター」8.3㎞
東武越生線「武州長瀬」駅徒歩7分
接道
北6.8mその他
東武越生線「東毛呂」駅徒歩11分・マンション・アパート用地 -
SG-0090
売土地所在地
埼玉県東松山市大字石橋現況
更地用途地域
調整区域建蔽率
容積率
価格/坪単価
6,000万円
/19.20万円面積(坪)
- 土地
- 311.7坪
- 建物
交通
関越「東松山インター」0.7㎞
東武東上線「東松山」駅1.7㎞
接道
西25m 東3.7mその他
深谷東松山線沿い・資材置き場・駐車場 -
SG-0086
売土地所在地
埼玉県坂戸市塚越現況
上物有用途地域
調整区域建蔽率
容積率
価格/坪単価
2,080万円
/2.90万円面積(坪)
- 土地
- 710.87坪
- 建物
交通
圏央道「坂戸インター」2.8㎞
東武東上線「北坂戸」駅3.2㎞
接道
北4.7mその他
資材置き場・駐車場 -
SG-0083
売土地所在地
埼玉県越谷市大字平方現況
上物有用途地域
調整区域建蔽率
容積率
価格/坪単価
6,200万円
/12.90万円面積(坪)
- 土地
- 480.97坪
- 建物
交通
東北「岩槻インター」10㎞
東武スカイツリーライン「武里」駅1.5㎞
接道
南7.5mその他
建物74.52㎡あり・資材置き場・駐車場・水道引き込みあり -
SG-0081
売土地所在地
埼玉県久喜市菖蒲町菖蒲現況
更地用途地域
調整区域建蔽率
容積率
価格/坪単価
563万円
/2.30万円面積(坪)
- 土地
- 245.32坪
- 建物
交通
圏央道「白岡菖蒲インター」3.4㎞
JR宇都宮線「久喜」駅8.2㎞
接道
北東6mその他
資材置き場・駐車場・自働車修理工場・店舗用地 -
SG-0061
売土地所在地
東京都熊谷市西別府現況
上物有用途地域
調整区域建蔽率
容積率
価格/坪単価
1,690万円
/7.60万円面積(坪)
- 土地
- 223.32坪
- 建物
交通
関越「花園インター」12㎞
JR高崎線「籠原」駅1.7㎞
接道
南5.8m 西3.6mその他
南西角地・資材置き場・駐車場 -
SG-0012
売土地所在地
埼玉県蓮田市大字黒浜現況
用途地域
調整区域建蔽率
容積率
価格/坪単価
1,800万円
/2万円面積(坪)
- 土地
- 914.76坪
- 建物
交通
東北「蓮田スマートインター」2.9㎞
JR東北本線「蓮田」駅2.5㎞
接道
南3m 北2.7mその他
資材置き場・キャンプ場・自然に囲まれた山林 -
OG-0005
売土地所在地
茨城県牛久市小坂町現況
更地用途地域
調整区域建蔽率
60%容積率
200%
価格/坪単価
1,860万円
/5.50万円面積(坪)
- 土地
- 339.1坪
- 建物
交通
圏央道「阿見東インター」3.8㎞
関東鉄道龍ヶ崎線「龍ヶ崎」駅9.5㎞
接道
北東4.5mその他
資材置き場・駐車場・国道408号線近く -
OG-0003
売土地所在地
茨城県取手市桜ケ丘2丁目現況
更地用途地域
近隣商業建蔽率
80%容積率
200%
価格/坪単価
5,670万円
/13.80万円面積(坪)
- 土地
- 411.09坪
- 建物
交通
圏央道「牛久阿見インター」13㎞
JR常磐線「藤代」駅バス8分バス停歩1分
接道
南西9m 北西6mその他
南西・北西角地・店舗・事務所・営業所・倉庫・作業所等 -
SG-0029
売土地所在地
埼玉県蓮田市大字根金現況
更地用途地域
調整区域建蔽率
容積率
価格/坪単価
1,800万円
/3.80万円面積(坪)
- 土地
- 471.9坪
- 建物
交通
圏央道「白岡菖蒲インター」3.8㎞
JR宇都宮線「蓮田」駅バス15分バス停歩5分
接道
南東4mその他
資材置き場・駐車場・整形地・間口約20m・建物建築不可 -
SG-0077
売土地所在地
埼玉県草加市柿木町現況
更地用途地域
調整区域建蔽率
容積率
価格/坪単価
6,280万円
/20万円面積(坪)
- 土地
- 313.97坪
- 建物
交通
東京外環「外環三郷西インター」3.6㎞
JR武蔵野線「越谷レイクタウン」駅徒歩24分
接道
北4.6m 西4.6mその他
角地・資材置き場・駐車場・分割相談可 -
SG-0076
売土地所在地
埼玉県上尾市大字原市現況
更地用途地域
調整区域建蔽率
容積率
価格/坪単価
5,000万円
/4.90万円面積(坪)
- 土地
- 1013.98坪
- 建物
交通
東北「岩槻インター」6.5㎞
埼玉新都市交通「沼南」駅徒歩9分
接道
東5mその他
資材置き場・車両置き場・分割相談可・建物建築不可 -
SG-0070
売土地所在地
埼玉県久喜市狐塚現況
更地用途地域
調整区域建蔽率
容積率
価格/坪単価
980万円
/3.30万円面積(坪)
- 土地
- 293.42坪
- 建物
交通
東北「久喜インター」8.3㎞
東武スカイツリーライン「南栗橋」駅徒歩18分
接道
南5m 西4mその他
鉄骨格納庫再建築可・資材置き場・車両置き場 -
CG-0011
売土地所在地
千葉県八街市八街は現況
更地用途地域
無指定建蔽率
容積率
価格/坪単価
8,300万円
/8.30万円面積(坪)
- 土地
- 999.27坪
- 建物
交通
東関東「酒々井インター」3.5㎞
JR総武本線「八街」駅5.4㎞
接道
その他
資材置き場・車両置き場用地・工場倉庫用地・倉庫建築条件あり -
SG-0005
売土地所在地
埼玉県鶴ヶ島市大字高倉現況
更地用途地域
調整区域建蔽率
60%容積率
200%
価格/坪単価
67,165万円
/35万円面積(坪)
- 土地
- 1919坪
- 建物
交通
圏央道「圏央鶴ヶ島インター」2.2㎞
東武越生線「一本松」駅2㎞
接道
南25m 東6mその他
都市計画法34条12号指定予定区域・工場・倉庫用地・国道407号線沿い -
SG-0064
売土地所在地
埼玉県所沢市三ケ島5丁目現況
更地用途地域
調整区域建蔽率
容積率
価格/坪単価
2,880万円
/8.50万円面積(坪)
- 土地
- 339.4坪
- 建物
交通
圏央道「入間インター」3.6㎞
西武池袋線「狭山ヶ丘」駅徒歩23分
接道
北6.5m 南東4.5mその他
資材置き場・車両置き場・両面道路 -
SG-0060
売土地所在地
埼玉県さいたま市緑区美園現況
更地用途地域
準工業建蔽率
60%容積率
200%
価格/坪単価
34,000万円
/79.90万円面積(坪)
- 土地
- 425.61坪
- 建物
交通
東北「浦和インター」3.5㎞
埼玉高速鉄道「浦和美園」駅2.6㎞
接道
南西12m 南東7m 北東6m 北西6mその他
国道122号線沿い・工場・倉庫用地・境界確定済 -
SG-0058
売土地所在地
埼玉県川越市南通町現況
上物有用途地域
2中高層住居建蔽率
60%容積率
200%
価格/坪単価
26,500万円
/146万円面積(坪)
- 土地
- 181.56坪
- 建物
交通
関越「川越インター」3㎞
東武東上線「川越」駅徒歩9分
接道
南東6mその他
アパート・事務所等用地・分割可 -
SG-0052
売土地所在地
埼玉県さいたま市南区太田窪2丁目現況
上物有用途地域
1住居建蔽率
60%容積率
200%
価格/坪単価
33,300万円
/175.50万円面積(坪)
- 土地
- 189.78坪
- 建物
交通
東京外環「外環浦和インター」3.7㎞
JR京浜東北線「浦和」駅徒歩18分
接道
東6.3mその他
都市ガス・アパート・事務所等用地・分割相談可 -
SG-0050
売土地所在地
埼玉県所沢市北野3丁目現況
更地用途地域
調整区域建蔽率
60%容積率
200%
価格/坪単価
3,250万円
/10万円面積(坪)
- 土地
- 324.28坪
- 建物
交通
圏央道「入間インター」5㎞
西武池袋線「狭山ヶ丘」駅1.6㎞
接道
北東25mその他
国道463号バイパス沿い・資材置き場・駐車場・自働車修理工場等 -
SG-0046
売土地所在地
埼玉県鴻巣市明用現況
更地用途地域
1住居建蔽率
70%容積率
160%
価格/坪単価
10,400万円
/19万円面積(坪)
- 土地
- 547.82坪
- 建物
交通
関越「東松山インター」12㎞
JR高崎線「吹上」駅徒歩17分
接道
北16m 東4.6m 西8mその他
店舗・事務所等用地・富士見通りに面する -
SG-0043
売土地所在地
埼玉県白岡市荒井新田現況
更地用途地域
調整区域建蔽率
60%容積率
200%
価格/坪単価
6,800万円
/22.70万円面積(坪)
- 土地
- 299.77坪
- 建物
交通
圏央道「白岡菖蒲インター」0.9㎞
JR宇都宮線「新白岡」駅4.5㎞
接道
東23mその他
国道122号線沿い・工場・倉庫用地 -
SG-0042
売土地所在地
埼玉県日高市大字森戸新田現況
更地用途地域
調整区域建蔽率
60%容積率
200%
価格/坪単価
2,600万円
/6.10万円面積(坪)
- 土地
- 429.24坪
- 建物
交通
圏央道「圏央鶴ヶ島インター」2.2㎞
JR川越線「武蔵高萩」駅2.4㎞
接道
南東3m 南西2.9mその他
資材置き場・車両置き場・前面道路に水道管あり -
SG-0032
売土地所在地
埼玉県所沢市坂之下現況
更地用途地域
調整区域建蔽率
60%容積率
200%
価格/坪単価
9,340万円
/30万円面積(坪)
- 土地
- 311.43坪
- 建物
交通
関越「所沢インター」1.4㎞
JR武蔵野線「新座」駅2.5㎞
接道
南26m 東2mその他
国道463号線沿い・資材置き場・車両置き場・日用品販売店舗可 -
SG-0035
売土地所在地
埼玉県羽生市南6丁目現況
更地用途地域
2住居建蔽率
60%容積率
200%
価格/坪単価
14,700万円
/20万円面積(坪)
- 土地
- 734.12坪
- 建物
交通
東北「羽生インター」4.6㎞
東武伊勢崎線「羽生」駅徒歩14分
接道
南6m 西12m 北6mその他
県道加須羽生線沿い・店舗・事務所等多目的用地 -
CG-0004
売土地所在地
千葉県印西市高西新田現況
更地用途地域
調整区域建蔽率
60%容積率
200%
価格/坪単価
7,900万円
/3.20万円面積(坪)
- 土地
- 2458.72坪
- 建物
交通
東関東「千葉北インター」18㎞
北総鉄道「千葉ニュータウン中央」駅2.8㎞
接道
南西5.5mその他
資材置き場・車両置き場・安全鋼板設置・建物建築不可 -
SG-0016
売土地所在地
埼玉県春日部市藤塚現況
更地用途地域
調整区域建蔽率
容積率
価格/坪単価
1,480万円
/4万円面積(坪)
- 土地
- 369.04坪
- 建物
交通
東北「岩槻インター」10㎞
東武伊勢崎線「一ノ割駅徒歩23分
接道
北西6mその他
資材置き場・車両置き場・建物建築不可 -
SG-0009
売土地所在地
埼玉県北葛飾郡杉戸町清地3丁目現況
上物有用途地域
準工業建蔽率
60%容積率
200%
価格/坪単価
5,300万円
/25.20万円面積(坪)
- 土地
- 209.99坪
- 建物
交通
圏央道「幸手インター」6㎞
東武スカイツリーライン「東武動物公園」駅徒歩21分
接道
北東12m 南西3mその他
国道4号線沿い・店舗・事務所・倉庫等多目的用地 -
SG-0006
売土地所在地
埼玉県越谷市大字野島現況
更地用途地域
調整区域建蔽率
60%容積率
200%
価格/坪単価
3,866万円
/5.60万円面積(坪)
- 土地
- 688.49坪
- 建物
交通
東北「浦和インター」5㎞
東武スカイツリーライン「大袋」駅3.3㎞
接道
西6mその他
資材置き場・車両置き場・建物建築不可 -
SG-0014
売土地所在地
埼玉県狭山市入間川現況
更地用途地域
調整区域建蔽率
容積率
価格/坪単価
4,980万円
/5.90万円面積(坪)
- 土地
- 842.49坪
- 建物
交通
圏央道「狭山日高インター」6㎞
西武新宿線「入曽」駅徒歩21分
接道
北4.5mその他
資材置き場・車両置き場・建物建築不可 -
SG-0112
売土地所在地
埼玉県加須市上三俣現況
更地用途地域
調整区域建蔽率
容積率
価格/坪単価
9,100万円
/3万円面積(坪)
- 土地
- 3035.28坪
- 建物
交通
東北「加須インター」3.5㎞
東武伊勢崎線「加須」駅3.4㎞
接道
東9mその他
県道加須北川辺線沿い・資材置き場・車両置き場 -
SG-0111
売土地所在地
埼玉県さいたま市岩槻区大字加倉現況
更地用途地域
準工業建蔽率
60%容積率
200%
価格/坪単価
4,450万円
/35.40万円面積(坪)
- 土地
- 125.6坪
- 建物
交通
東名「岩槻インター」0.5㎞
東武野田線「岩槻」駅徒歩23分
接道
角地 南西4.6m 南東6mその他
倉庫・工場・営業所等多目的用地 -
SG-0110
売土地所在地
埼玉県加須市下種足現況
更地用途地域
調整区域建蔽率
容積率
価格/坪単価
3,300万円
/4.70万円面積(坪)
- 土地
- 702.1坪
- 建物
交通
圏央道「白岡菖蒲インター」7㎞
JR高崎線「桶川」駅10㎞
接道
北西5.9mその他
資材置き場・車両置き場・リサイクル業に適 -
SG-0080
売土地所在地
埼玉県川越市大字石田本郷現況
更地用途地域
調整区域建蔽率
容積率
価格/坪単価
2,380万円
/12.10万円面積(坪)
- 土地
- 197坪
- 建物
交通
関越「川越インター」8.9㎞
西武新宿線「本川越」駅6㎞
接道
北8m 南西3mその他
資材置き場・車両置き場・道路幅員8m・接道約24m・大型車両進入可・圏央道川島インターまで10㎞ -
KG-0006
売土地所在地
神奈川県藤沢市石川6丁目現況
更地用途地域
準工業建蔽率
60%容積率
200%
価格/坪単価
15,000万円
/81.70万円面積(坪)
- 土地
- 183.61坪
- 建物
交通
圏央道「寒川北インター」7.4㎞
小田急江ノ島線「湘南台」駅徒歩26分
接道
東28mその他
桐原町石川線沿い・桐原工業団地隣接・収益にも可 -
SG-0056
売土地所在地
埼玉県鶴ヶ島市上広谷現況
更地用途地域
調整区域建蔽率
容積率
価格/坪単価
3,000万円
/17.50万円面積(坪)
- 土地
- 171.82坪
- 建物
交通
圏央自動車道「圏央鶴ヶ島インター」3.5㎞
東武東上線「若葉」駅徒歩13分
接道
東5mその他
資材置き場・車両置き場用地・上水道引き込み済 -
KG-0011
売土地所在地
神奈川県横須賀市衣笠町現況
更地用途地域
調整区域建蔽率
容積率
価格/坪単価
7,000万円
/0.40万円面積(坪)
- 土地
- 16538坪
- 建物
交通
横浜横須賀道路「衣笠インター」0.5㎞
JR横須賀線「衣笠」駅バス21分バス停歩11分
接道
南東6m 南6mその他
資材置き場・太陽光ソーラー・南ひな壇・建物建築不可 -
KG-0007
売土地所在地
神奈川県厚木市下荻野現況
更地用途地域
調整区域建蔽率
容積率
価格/坪単価
5,680万円
/6.40万円面積(坪)
- 土地
- 893.3坪
- 建物
交通
圏央道「圏央厚木インター」4.8㎞
小田急小田原線「本厚木」駅バス20分バス停歩2分
接道
南5m 北3.7mその他
資材置き場・車両置き場・建物建築不可 -
SG-0057
売土地所在地
埼玉県飯能市大字平松現況
更地用途地域
調整区域建蔽率
容積率
価格/坪単価
980万円
/4.90万円面積(坪)
- 土地
- 200.56坪
- 建物
交通
圏央道「狭山日高インター」3.5㎞
西武池袋線「飯能」駅3.3㎞
接道
北5mその他
資材置き場・車両置き場 -
SG-0022
売土地所在地
埼玉県加須市内田ケ谷現況
更地用途地域
調整区域建蔽率
容積率
価格/坪単価
3,300万円
/2.60万円面積(坪)
- 土地
- 1267.17坪
- 建物
交通
東北「加須インター」9.5㎞
東武伊勢崎線「羽生」駅4.6㎞
接道
北西5.9m 南東5.2mその他
資材置き場・車両置き場・水道引き込み可 -
SG-0038
売土地所在地
東京都北本市深井1丁目現況
上物有用途地域
準工業建蔽率
60%容積率
200%
価格/坪単価
21,800万円
/36.90万円面積(坪)
- 土地
- 590坪
- 建物
交通
圏央道「桶川加納インター」5.8㎞
JR高崎線「北本」駅徒歩27分
接道
東12.5mその他
旧中山道沿い・倉庫・工場・店舗・事務所など多目的用地 -
SG-0109
売土地所在地
埼玉県児玉郡神川町新宿現況
上物有用途地域
無指定建蔽率
60%容積率
200%
価格/坪単価
1,090万円
/1.60万円面積(坪)
- 土地
- 699.35坪
- 建物
交通
関越「本庄児玉インター」10㎞
JR八高線「丹荘」駅4.4㎞
接道
東5.1m 北東4.1mその他
資材置き場・アパート用地 -
SG-0053
売土地所在地
埼玉県北足立郡伊奈町大字小室現況
更地用途地域
調整区域建蔽率
容積率
価格/坪単価
4,500万円
/4.50万円面積(坪)
- 土地
- 1000坪
- 建物
交通
圏央道「白岡菖蒲インター」5.6㎞
ニューシャトル「伊奈中央」駅徒歩15分
接道
北3.4mその他
資材置き場・車両置き場用地・建物建築不可 -
SG-0048
売土地所在地
埼玉県新座市本多1丁目現況
更地用途地域
調整区域建蔽率
容積率
価格/坪単価
13,340万円
/24万円面積(坪)
- 土地
- 556.29坪
- 建物
交通
関越「所沢インター」4.8㎞
JR武蔵野線「新座」駅3㎞
接道
南東4.6mその他
資材置き場・車両置き場・整形地 -
SG-0047
売土地所在地
埼玉県さいたま市見沼区御蔵現況
更地用途地域
調整区域建蔽率
60%容積率
200%
価格/坪単価
9,800万円
/36.90万円面積(坪)
- 土地
- 265.47坪
- 建物
交通
東北「浦和インター」6㎞
JR埼京線「大宮」駅バス15分「染谷入口」バス停歩1分
接道
北9.6mその他
工場・倉庫・事務所・店舗・商業施設等用地 -
SG-0011
売土地所在地
埼玉県入間市宮寺現況
更地用途地域
準住居建蔽率
60%容積率
200%
価格/坪単価
13,000万円
/40.30万円面積(坪)
- 土地
- 322.24坪
- 建物
交通
圏央道「入間インター」2.3㎞
西武池袋線「入間市」駅バス15分バス停歩1分
接道
南東23m 北西8.5m 東4mその他
国道16号線沿い・倉庫・店舗・営業所等多目的利用地 -
SG-0105
売土地所在地
埼玉県越谷市大字向畑現況
更地用途地域
調整区域建蔽率
容積率
価格/坪単価
1,838万円
/4万円面積(坪)
- 土地
- 459.49坪
- 建物
交通
東北「浦和インター」10㎞
東武伊勢崎線「大袋」駅3.5㎞
接道
北3m 南東5.7mその他
資材置き場・車両置き場 -
SG-0104
売土地所在地
埼玉県さいたま市岩槻区大字馬込現況
用途地域
調整区域建蔽率
容積率
価格/坪単価
980万円
/3万円面積(坪)
- 土地
- 326.55坪
- 建物
交通
東北「蓮田スマートインター」1.8㎞
JR宇都宮線「蓮田」駅徒歩18分
接道
北西4mその他
資材置き場・車両置き場・建物建築不可 -
SG-0101
売土地所在地
埼玉県北足立郡伊奈町大字小針新宿現況
更地用途地域
調整区域建蔽率
容積率
価格/坪単価
450万円
/4.30万円面積(坪)
- 土地
- 104.36坪
- 建物
交通
圏央道「桶川北本インター」4.5㎞
埼玉新都市交通「内宿」駅徒歩8分
接道
西1.8mその他
資材置き場・車両置き場・建物建築不可 -
SG-0103
売土地所在地
埼玉県蓮田市大字江ヶ崎現況
更地用途地域
調整区域建蔽率
容積率
価格/坪単価
430万円
/3万円面積(坪)
- 土地
- 142.78坪
- 建物
交通
東北「蓮田スマートインター」4.6㎞
JR東北本線「蓮田」駅4.5㎞
接道
北東5m 南1.8mその他
資材置き場・車両置き場・建物建築不可 -
SG-0096
売土地所在地
埼玉県桶川市川田谷現況
更地用途地域
調整区域建蔽率
容積率
価格/坪単価
450万円
/1.30万円面積(坪)
- 土地
- 346.25坪
- 建物
交通
圏央道「桶川北本インター」0.8㎞
JR高崎線「桶川」駅3.8㎞
接道
北東4m 南西3.8mその他
資材置き場・駐車場・確定測量済み・建物建築不可 -
SG-0092
売土地所在地
埼玉県熊谷市間々田現況
更地用途地域
調整区域建蔽率
容積率
価格/坪単価
500万円
/2.10万円面積(坪)
- 土地
- 235.86坪
- 建物
交通
関越「花園インター」17㎞
JR高崎線「籠原」駅7.8㎞
接道
三方その他
三方道路・資材置き場・駐車場・建物建築不可 -
SG-0002
売土地所在地
埼玉県所沢市三ケ島2丁目現況
更地用途地域
調整区域建蔽率
容積率
価格/坪単価
2,800万円
/5.10万円面積(坪)
- 土地
- 553.65坪
- 建物
交通
圏央道「入間インター」4.6㎞
西武池袋線「狭山ヶ丘」駅3.3㎞
接道
東6m 西1.8mその他
資材置き場・車両置き場・建物建築不可 -
SG-0021
売土地所在地
埼玉県日高市大字田波目現況
上物有用途地域
調整区域建蔽率
60%容積率
200%
価格/坪単価
130,305万円
/35万円面積(坪)
- 土地
- 3723.12坪
- 建物
交通
圏央道「圏央鶴ヶ島インター」6.2㎞
JR八高線「高麗川」駅3㎞
接道
北西16m 北東6.6m 南東6.5mその他
都市計画法34条12号区域・工場・倉庫用地 -
SG-0033
売土地所在地
埼玉県比企郡吉見町大字松崎現況
上物有用途地域
調整区域建蔽率
容積率
価格/坪単価
2,480万円
/4.10万円面積(坪)
- 土地
- 602坪
- 建物
交通
関越「東松山インター」8.7㎞
JR高崎線「吹上」駅5.8㎞
接道
西10m 北5mその他
県道345号線沿い・事務所・軽油スタンドあり -
SG-0082
売土地所在地
埼玉県吉川市大字南広島現況
更地用途地域
調整区域建蔽率
60%容積率
200%
価格/坪単価
4,180万円
/8万円面積(坪)
- 土地
- 522.11坪
- 建物
交通
東京外環「外環三郷西インター」10㎞
JR武蔵野線「吉川」駅5.6㎞
接道
南西6.5mその他
資材置き場・車両置き場用地・水道引き込み可 -
SG-0007
売土地所在地
埼玉県比企郡川島町大字戸守現況
更地用途地域
準工業建蔽率
60%容積率
200%
価格/坪単価
2,600万円
/16.30万円面積(坪)
- 土地
- 159.11坪
- 建物
交通
圏央道「川島インター」3㎞
東武東上線「北坂戸」駅5.3㎞
接道
その他
県道211号線沿い・倉庫・店舗・事務所等多目的利用可 -
SG-0071
売土地所在地
埼玉県入間郡三芳町大字藤久保現況
更地用途地域
2住居建蔽率
60%容積率
200%
価格/坪単価
13,600万円
/85.10万円面積(坪)
- 土地
- 159.89坪
- 建物
交通
関越「所沢インター」4.5㎞
東武東上線「鶴瀬」駅徒歩20分
接道
北東33m 南東14.2mその他
国道254号線角地・店舗・事務所・倉庫等多目的用地 -
SG-0027
売土地所在地
埼玉県さいたま市見沼区大字東宮下現況
更地用途地域
調整区域建蔽率
容積率
価格/坪単価
800万円
/6.90万円面積(坪)
- 土地
- 116.02坪
- 建物
交通
東北「岩槻インター」1.2㎞
東武アーバンパークライン「七里」駅徒歩18分
接道
南4.5m 西4mその他
資材置き場用地・建物建築不可 -
KG-0008
売土地所在地
神奈川県秦野市入船町現況
上物有用途地域
準工業建蔽率
60%容積率
200%
価格/坪単価
9,600万円
/37.80万円面積(坪)
- 土地
- 253.81坪
- 建物
交通
東名「秦野中井インター」3㎞
小田急線「秦野」駅徒歩15分
接道
南西18.5m 北西6mその他
倉庫・店舗・事務所等多目的用地 -
KG-0005
売土地所在地
神奈川県厚木市三田現況
更地用途地域
調整区域建蔽率
容積率
価格/坪単価
3,663万円
/11万円面積(坪)
- 土地
- 333.96坪
- 建物
交通
圏央道「圏央厚木インター」5.9㎞
JR相模線「相武台下」駅4.4㎞
接道
その他
資材置き場・車両置き場・建物建築不可 -
SG-0067
売土地所在地
埼玉県大里郡寄居町大字冨田現況
更地用途地域
無指定建蔽率
60%容積率
200%
価格/坪単価
7,900万円
/8.50万円面積(坪)
- 土地
- 933坪
- 建物
交通
関越「花園インター」3㎞
東武東上線「男衾」
接道
11mその他
寄居町企業誘致促進地域・工場・倉庫用地 -
SG-0037
売土地所在地
埼玉県所沢市東所沢和田1丁目現況
更地用途地域
1住居建蔽率
60%容積率
200%
価格/坪単価
12,000万円
/117.70万円面積(坪)
- 土地
- 101.94坪
- 建物
交通
関越「所沢インター」4.2㎞
JR武蔵野線「東所沢」駅徒歩12分
接道
角地 北東21m 北西12mその他
県道練馬所沢線沿い角地・アパート・事務所用地・現況駐車場 -
SG-0018
売土地所在地
埼玉県川越市大字下広谷現況
更地用途地域
調整区域建蔽率
60%容積率
200%
価格/坪単価
13,800万円
/7.80万円面積(坪)
- 土地
- 1779.33坪
- 建物
交通
圏央道「坂戸インター」2.6㎞
東武東上線「鶴ヶ島」駅2.7㎞
接道
南西9.2mその他
幅員9.2m公道面・資材置き場・車両置き場 -
OG-0004
売土地所在地
茨城県つくば市下原現況
更地用途地域
調整区域建蔽率
60%容積率
200%
価格/坪単価
12,000万円
/6万円面積(坪)
- 土地
- 2000坪
- 建物
交通
圏央道「つくば牛久インター」1.5㎞
JR常磐線「荒川沖」駅3㎞
接道
南36.5m 東5mその他
事業用地・倉庫用地・県道274号線・飲食店・福祉施設・医療施設用地 -
SG-0036
売土地所在地
埼玉県深谷市上柴町東2丁目現況
更地用途地域
準工業建蔽率
60%容積率
200%
価格/坪単価
1,000万円
/16.80万円面積(坪)
- 土地
- 59.59坪
- 建物
交通
関越「花園インター」10㎞
JR高崎線「籠原」駅徒歩21分
接道
三方 北8m 東6m 南6mその他
事務所・店舗・倉庫等多目的用地・都市ガス・即引渡可 -
SG-0063
売土地所在地
埼玉県久喜市菖蒲町小林現況
更地用途地域
調整区域建蔽率
60%容積率
200%
価格/坪単価
2,508万円
/5.20万円面積(坪)
- 土地
- 482.53坪
- 建物
交通
圏央道「桶川加納インター」3.6㎞
JR高崎線「桶川」駅バス23分バス停歩1分
接道
北東12m 北西5mその他
県道12号線沿い・資材置き場・車両置き場 -
SG-0040
売土地所在地
埼玉県熊谷市西野現況
更地用途地域
調整区域建蔽率
60%容積率
200%
価格/坪単価
65,505万円
/15万円面積(坪)
- 土地
- 4367坪
- 建物
交通
関越「花園インター」17㎞
JR高崎線「熊谷」駅7.9㎞
接道
西24m 東8mその他
国道407号線・都市計画法34条12号指定区域・工場・倉庫用地 -
CG-0006
売土地所在地
千葉県我孫子市中峠現況
更地用途地域
調整区域建蔽率
60%容積率
200%
価格/坪単価
3,980万円
/3.60万円面積(坪)
- 土地
- 1114.71坪
- 建物
交通
常磐「柏インター」15㎞
JR成田線「湖北」駅徒歩25分
接道
南西4.2mその他
資材置き場・車両置き場・砂利砕石・道路側舗装後引渡・建物建築不可 -
CG-0005
売土地所在地
千葉県千葉市花見川区三角町現況
更地用途地域
調整区域建蔽率
60%容積率
200%
価格/坪単価
52,000万円
/64.70万円面積(坪)
- 土地
- 804.04坪
- 建物
交通
東関東「千葉北インター」0.3㎞
総武本線「四街道」駅5㎞
接道
東24m 南3.6m 北3.6mその他
国道16号線沿い・物流倉庫・事務所・店舗建築可・上水道引き込み済 -
CG-0008
売土地所在地
千葉県館山市佐野現況
更地用途地域
無指定建蔽率
20%容積率
40%
価格/坪単価
12,800万円
/4.40万円面積(坪)
- 土地
- 2892.77坪
- 建物
交通
富津館山道路「冨浦インター」16㎞
JR内房線「館山」駅12㎞
接道
南西7.2m 東6mその他
平砂海水浴場まで徒歩圏・グランピング施設等用地 -
KG-0009
売土地所在地
神奈川県秦野市菖蒲現況
更地用途地域
調整区域建蔽率
50%容積率
80%
価格/坪単価
12,000万円
/9.80万円面積(坪)
- 土地
- 1223坪
- 建物
交通
新東名高速道路「新秦野インター」1㎞
小田急小田原線「渋沢」駅3.5㎞
接道
その他
資材置き場用地・台貫設置済・空き缶圧縮機・プレハブ約6帖 -
KG-0004
売土地所在地
神奈川県相模原市緑区上九沢現況
更地用途地域
調整区域建蔽率
50%容積率
80%
価格/坪単価
3,380万円
/9.70万円面積(坪)
- 土地
- 346.9坪
- 建物
交通
圏央道「相模原インター」4.2㎞
JR相模線「南橋本」駅3㎞
接道
北6m 西3.3mその他
資材置き場・車両置き場用地・建物建築不可 -
SG-0034
売土地所在地
埼玉県草加市稲荷2丁目現況
更地用途地域
工業建蔽率
60%容積率
200%
価格/坪単価
79,800万円
/100.60万円面積(坪)
- 土地
- 792.87坪
- 建物
交通
東京外環「草加インター」4.3㎞
東武伊勢崎線「草加」駅徒歩25分
接道
北東8m 西2.7mその他
工業地帯・倉庫・工場用地・多目的利用地 -
SG-0026
売土地所在地
埼玉県上尾市大字中新井現況
更地用途地域
調整区域建蔽率
容積率
価格/坪単価
1,800万円
/5万円面積(坪)
- 土地
- 360.27坪
- 建物
交通
圏央道「桶川北本インター」8.6㎞
JR高崎線「上尾」駅3㎞
接道
東5m 南2.3mその他
資材置き場・車両置き場・整形地 -
SG-0020
売土地所在地
埼玉県鴻巣市境現況
更地用途地域
調整区域建蔽率
容積率
価格/坪単価
7,000万円
/2.70万円面積(坪)
- 土地
- 2600坪
- 建物
交通
圏央道「白岡菖蒲インター」10㎞
JR高崎線「鴻巣」駅6㎞
接道
西6m 東5mその他
資材置き場・車両置き場 -
SG-0017
売土地所在地
埼玉県入間市大字木蓮寺現況
更地用途地域
調整区域建蔽率
容積率
価格/坪単価
2,560万円
/3.40万円面積(坪)
- 土地
- 761.69坪
- 建物
交通
圏央道「青梅インター」0.8㎞
JR八高線「金子」駅2.4㎞
接道
北3.4mその他
資材置き場・車両置き場用地・整地済・即使用できます・建物建築不可 -
SG-0003
売土地所在地
埼玉県加須市上樋遣川現況
更地用途地域
調整区域建蔽率
60%容積率
200%
価格/坪単価
130,000万円
/19.10万円面積(坪)
- 土地
- 6798.08坪
- 建物
交通
東北「加須インター」5.8㎞
東武日光線「栗橋」駅6㎞
接道
西9.5mその他
都計法34条12号区域・工場・倉庫建築可・事業用地 -
SG-0004
売土地所在地
埼玉県南埼玉郡宮代町川端4丁目現況
更地用途地域
準工業建蔽率
60%容積率
200%
価格/坪単価
28,900万円
/35.80万円面積(坪)
- 土地
- 808.39坪
- 建物
交通
東北「岩槻インター」10㎞
東武スカイツリーライン「姫野宮」駅徒歩7分
接道
西13m 北3mその他
県道春日部久喜線に面する・工場・倉庫用地 -
SG-0059
売土地所在地
埼玉県比企郡吉見町大字久米田現況
更地用途地域
調整区域建蔽率
60%容積率
100%
価格/坪単価
1,400万円
/4.30万円面積(坪)
- 土地
- 329.22坪
- 建物
交通
関越「東松山インター」6.2㎞
東武東上線「東松山」駅4.2㎞
接道
南西6.4mその他
資材置場・車両置場用地・間口約40m -
SG-0039
売土地所在地
埼玉県比企郡滑川町羽尾現況
更地用途地域
調整区域建蔽率
60%容積率
100%
価格/坪単価
2,980万円
/19万円面積(坪)
- 土地
- 157.25坪
- 建物
交通
関越「東松山インター」2.6㎞
東武東上線「森林公園」駅徒歩6分
接道
西49m 南東2.5mその他
県道深谷東松山線沿い・店舗用地 -
SG-0095
売土地所在地
埼玉県新座市野火止2丁目現況
上物有用途地域
調整区域建蔽率
60%容積率
200%
価格/坪単価
52,611万円
/30万円面積(坪)
- 土地
- 1753.72坪
- 建物
交通
関越「所沢インター」4㎞
JR武蔵野線「新座」駅3㎞
接道
北西7mその他
資材置場・車両置場用地・店舗・老人ホーム建築可 -
SG-0085
売土地所在地
埼玉県児玉郡上里郡三町現況
更地用途地域
無指定建蔽率
60%容積率
200%
価格/坪単価
4,000万円
/5.70万円面積(坪)
- 土地
- 697.71坪
- 建物
交通
関越「本庄児玉インター」4.5㎞
JR高崎線「神保原」駅3.1㎞
接道
東12mその他
県道児玉新町線沿い・倉庫・工場・店舗・事務所等多目的用地 -
CG-0013
売土地所在地
千葉県野田市宮崎現況
用途地域
調整区域建蔽率
60%容積率
200%
価格/坪単価
12,000万円
/13.80万円面積(坪)
- 土地
- 867.26坪
- 建物
交通
常磐「柏インター」7.2㎞
東武アーバンパークライン「愛宕」駅徒歩19分
接道
その他
国道16号線に面する・一般貨物業・倉庫業・自己業務施設建築可 -
SG-0123
売土地所在地
埼玉県東松山市大字市ノ川現況
更地用途地域
調整区域建蔽率
容積率
価格/坪単価
2,758万円
/10万円面積(坪)
- 土地
- 275.88坪
- 建物
交通
関越「東松山インター」2.6㎞
東武東上線「森林公園」駅1.6㎞
接道
南18.1m 西23.5mその他
資材置場・車両置場用地 -
SG-0116
売土地所在地
埼玉県所沢市西狭山ヶ丘2丁目現況
更地用途地域
調整区域建蔽率
60%容積率
200%
価格/坪単価
650万円
/7.90万円面積(坪)
- 土地
- 82.58坪
- 建物
交通
圏央道「入間インター」4㎞
西武池袋線「狭山ヶ丘」駅徒歩20分
接道
北4m 西4mその他
事業用地・資材置場・駐車場 -
SG-0115
売土地所在地
埼玉県所沢市西狭山ヶ丘2丁目現況
更地用途地域
調整区域建蔽率
60%容積率
100%
価格/坪単価
900万円
/8.10万円面積(坪)
- 土地
- 110.71坪
- 建物
交通
圏央道「入間インター」4㎞
西武池袋線「狭山ヶ丘」駅徒歩20分
接道
北4m 東4mその他
事業用地・資材置場・駐車場・日用品販売店舗 -
SG-0106
売土地所在地
埼玉県春日部市薄谷現況
更地用途地域
調整区域建蔽率
60%容積率
200%
価格/坪単価
1,880万円
/5.20万円面積(坪)
- 土地
- 362.39坪
- 建物
交通
東北「岩槻インター」7.5㎞
東武スカイツリーライン「武里」駅徒歩24分
接道
南東6.5mその他
資材置場・車両置場用地・建物建築不可 -
SG-0065
売土地所在地
埼玉県春日部永沼現況
更地用途地域
調整区域建蔽率
容積率
価格/坪単価
2,736万円
/9万円面積(坪)
- 土地
- 304.01坪
- 建物
交通
東北「岩槻インター」13㎞
東武野田線「藤の牛島」駅徒歩21分
接道
東8.6mその他
車両置場・資材置場用地・建物建築不可・4号バイパス庄和インター約1.3㎞ -
SG-0054
売土地所在地
埼玉県入間市宮寺現況
更地用途地域
調整区域建蔽率
容積率
価格/坪単価
480万円
/11.80万円面積(坪)
- 土地
- 40.83坪
- 建物
交通
圏央道「入間インター」1.5㎞
西武池袋線「武蔵藤沢」駅3.5㎞
接道
東3.3mその他
資材置場・車両置場・建物建築不可 -
SG-0084
売土地所在地
埼玉県本庄市児玉町共栄現況
更地用途地域
無指定建蔽率
60%容積率
200%
価格/坪単価
21,547万円
/14万円面積(坪)
- 土地
- 1539.12坪
- 建物
交通
関越「本庄児玉インター」4.2㎞
JR八高線「児玉」駅3.7㎞
接道
南8.4mその他
整形地・工場・倉庫・営業用倉庫・営業所等多目的用地 -
SG-0051
売土地所在地
埼玉県東松山市大字西本宿現況
更地用途地域
調整区域建蔽率
60%容積率
200%
価格/坪単価
7,254万円
/13万円面積(坪)
- 土地
- 558.41坪
- 建物
交通
関越「東松山インター」4㎞
東武東上線「高坂」駅徒歩10分
接道
その他
診療所用地・資材置場・車両置場 -
SG-0030
売土地所在地
埼玉県行田市大字須加現況
上物有用途地域
調整区域建蔽率
60%容積率
200%
価格/坪単価
8,080万円
/2.80万円面積(坪)
- 土地
- 2870.36坪
- 建物
交通
東北「羽生インター」9.2㎞
秩父鉄道「新郷」駅3㎞
接道
その他
資材置場・車両置場 -
OG-0010
売土地所在地
茨城県桜川市西小塙現況
更地用途地域
工業建蔽率
60%容積率
200%
価格/坪単価
1,580万円
/0.80万円面積(坪)
- 土地
- 2035.52坪
- 建物
交通
北関東自動車道「笠間西インター」6㎞
JR水戸線「羽黒」駅3㎞
接道
北5.1mその他
資材置場・太陽光パネル・敷地内に雨水浸透槽有 -
KG-0014
売土地所在地
神奈川県相模原市緑区中沢現況
更地用途地域
調整区域建蔽率
5%容積率
100%
価格/坪単価
2,430万円
/3.60万円面積(坪)
- 土地
- 666坪
- 建物
交通
圏央道「相模原インター」5㎞
JR相模線「橋本」駅6.4㎞
接道
東4mその他
資材置場・車両置場・ドックラン等・原則建物建築不可 -
SG-0102
売土地所在地
埼玉県さいたま市岩槻区大字岩槻現況
更地用途地域
調整区域建蔽率
60%容積率
200%
価格/坪単価
7,000万円
/13万円面積(坪)
- 土地
- 536.93坪
- 建物
交通
東北「岩槻インター」2㎞
東武野田線「岩槻」駅徒歩15分
接道
南東5.3mその他
資材置場・車両置場・現況駐車場 -
SG-0100
売土地所在地
埼玉県深谷市折之口現況
更地用途地域
調整区域建蔽率
60%容積率
200%
価格/坪単価
3,390万円
/4万円面積(坪)
- 土地
- 843坪
- 建物
交通
関越「花園インター」7㎞
JR高崎線「深谷」駅3.8㎞
接道
北西6mその他
特別養護老人ホーム等施設用地・資材置場・車両置場用地 -
SG-0099
売土地所在地
埼玉県加須市花崎1丁目現況
上物有用途地域
1住居建蔽率
60%容積率
200%
価格/坪単価
2,480万円
/11.80万円面積(坪)
- 土地
- 211坪
- 建物
交通
東北「加須インター」2.8㎞
東武伊勢崎線「花崎」駅徒歩4分
接道
北西12mその他
県道北中曽根北大桑線沿い・店舗・事務所・アパート等多目的用地 -
SG-0093
売土地所在地
埼玉県鶴ヶ島市鶴ヶ丘現況
更地用途地域
商業建蔽率
80%容積率
400%
価格/坪単価
11,000万円
/55.60万円面積(坪)
- 土地
- 198坪
- 建物
交通
関越「鶴ヶ島インター」3.5㎞
東武東上線「鶴ヶ島」駅徒歩7分
接道
南西4mその他
アパート・マンション・事務所・店舗等多目的用地・整形地 -
SG-0089
売土地所在地
埼玉県川越市かすみ野3丁目現況
用途地域
調整区域建蔽率
容積率
価格/坪単価
6,300万円
/6.50万円面積(坪)
- 土地
- 970坪
- 建物
交通
圏央道「圏央鶴ヶ島インター」5㎞
JR川越線「笠幡」駅徒歩20分
接道
南6mその他
伐採伐根整地後引き渡し・分割相談可・資材置場・車両置場 -
SG-0088
売土地所在地
埼玉県さいたま市岩槻区大字徳力現況
更地用途地域
調整区域建蔽率
60%容積率
200%
価格/坪単価
3,480万円
/6.30万円面積(坪)
- 土地
- 554.74坪
- 建物
交通
東北「岩槻インター」5.6㎞
東武野田線「豊春」駅徒歩15分
接道
南西7.2m 南東6mその他
資材置場・車両置場・建物建築不可 -
CG-0013
売土地所在地
千葉県木更津市中烏田現況
用途地域
調整区域建蔽率
容積率
価格/坪単価
6,300万円
/7万円面積(坪)
- 土地
- 900坪
- 建物
交通
舘山自動車道「木更津南インター」3㎞
JR内房線「木更津」駅4.5㎞
接道
北6mその他
資材置場・車両置場・都市ガス・上下水道 -
SG-0025
売土地所在地
埼玉県越谷市大成町8丁目現況
更地用途地域
調整区域建蔽率
60%容積率
200%
価格/坪単価
6,400万円
/14.40万円面積(坪)
- 土地
- 444坪
- 建物
交通
東京外環「三郷インター」7㎞
JR武蔵野線「越谷レイクタウン」駅2㎞
接道
北6mその他
資材置場・車両置場・原則建築不可 -
SG-0075
売土地所在地
埼玉県吉川市中央3丁目現況
更地用途地域
準住居建蔽率
60%容積率
200%
価格/坪単価
11,500万円
/66.50万円面積(坪)
- 土地
- 173坪
- 建物
交通
東京外環「三郷西インター」6㎞
JR武蔵野線「吉川」駅3㎞
接道
南25m 北6mその他
整形地・現況駐車場・事務所・店舗・倉庫等多目的用地 -
CG-0007
売土地所在地
千葉県君津市糸川現況
更地用途地域
無指定建蔽率
容積率
価格/坪単価
15,000万円
/3.90万円面積(坪)
- 土地
- 3893.78坪
- 建物
交通
圏央道「木更津東インター」11㎞
JR久留里線「久留里」駅6.5㎞
接道
その他
産業廃棄物再生工場・キャンプ用地・グランピング用地 -
KG-0018
売土地所在地
神奈川県相模原市緑区太井現況
更地用途地域
無指定建蔽率
容積率
価格/坪単価
8,500万円
/12.40万円面積(坪)
- 土地
- 686坪
- 建物
交通
圏央道「相模原インター」3㎞
JR横浜線「橋本」駅7㎞
接道
南13mその他
国道413号線沿い・資材置場・車両置場・上水道引込済 -
SG-0073
売土地所在地
埼玉県川越市大字鹿飼現況
更地用途地域
調整区域建蔽率
60%容積率
200%
価格/坪単価
26,331万円
/15万円面積(坪)
- 土地
- 1755.4坪
- 建物
交通
圏央道「川島インター」8.3㎞
西武新宿線「本川越」駅5.5㎞
接道
南7mその他
川越工業団地隣接・資材置場・車両置場 -
SG-0044
売土地所在地
埼玉県川越市豊田本5丁目現況
更地用途地域
調整区域建蔽率
容積率
価格/坪単価
5,000万円
/5.20万円面積(坪)
- 土地
- 959坪
- 建物
交通
関越「川越インター」2㎞
西武新宿線「南大塚」駅徒歩15分
接道
その他
資材置場・車両置場・8t車両まで進入可 -
SG-0055
売土地所在地
埼玉県本庄市児玉町共栄現況
更地用途地域
無指定建蔽率
60%容積率
200%
価格/坪単価
12,572万円
/14万円面積(坪)
- 土地
- 898坪
- 建物
交通
関越「本庄児玉インター」3.3㎞
JR八高線「児玉」駅3㎞
接道
南7.5m 東6.3mその他
工場・倉庫用地・整形地 -
SG-0024
売土地所在地
埼玉県熊谷市万吉現況
更地用途地域
調整区域建蔽率
60%容積率
200%
価格/坪単価
1,580万円
/4.30万円面積(坪)
- 土地
- 370坪
- 建物
交通
関越「嵐山小川インター」10㎞
JR高崎線「熊谷」駅3.2㎞
接道
西6mその他
資材置場・車両置場 -
SG-0023
売土地所在地
埼玉県蓮田市笹山現況
上物有用途地域
調整区域建蔽率
60%容積率
200%
価格/坪単価
3,239万円
/10万円面積(坪)
- 土地
- 323.9坪
- 建物
交通
東北「岩槻インター」6.7㎞
JR宇都宮線「蓮田」駅2.9㎞
接道
西4mその他
資材置場・車両置場・倉庫有 -
SG-0010
売土地所在地
埼玉県蓮田市大字根金現況
更地用途地域
調整区域建蔽率
60%容積率
200%
価格/坪単価
2,364万円
/8万円面積(坪)
- 土地
- 295坪
- 建物
交通
圏央道「白岡菖蒲インター」3㎞
東北本線「蓮田」駅5.9㎞
接道
北西4.5mその他
資材置場・車両置場・4.5m公道に約25m接道 -
CG-0012
売土地所在地
千葉県富津市宇藤原現況
用途地域
無指定建蔽率
容積率
価格/坪単価
3,800万円
/0.10万円面積(坪)
- 土地
- 61396坪
- 建物
交通
舘山自動車道「富津中央インター」11㎞
JR内房線「上総湊」駅9.9㎞
接道
北1.5mその他
都市計画区域外・建築可・グランピング・別荘・風力発電・介護施設 -
SG-0078
売土地所在地
埼玉県本庄市児玉町金屋現況
更地用途地域
無指定建蔽率
60%容積率
200%
価格/坪単価
60,420万円
/12万円面積(坪)
- 土地
- 5035坪
- 建物
交通
関越「本庄児玉インター」5.5㎞
JR八高線「児玉」駅1.5㎞
接道
西18mその他
県道44号線沿い・倉庫・工場用地 -
CG-0018
売土地所在地
千葉県千葉市若葉区中野町現況
更地用途地域
調整区域建蔽率
60%容積率
200%
価格/坪単価
3,200万円
/2.20万円面積(坪)
- 土地
- 1442坪
- 建物
交通
千葉東金道路「中野インター」1.7㎞
JR外房線「譽田」駅4.7㎞
接道
北3.8m 南6.5mその他
資材置場・高さ約3mフェンス設置済・建物建築不可 -
SG-0013
売土地所在地
埼玉県桶川市川田谷現況
用途地域
調整区域建蔽率
60%容積率
200%
価格/坪単価
1,300万円
/3.90万円面積(坪)
- 土地
- 334.26坪
- 建物
交通
圏央道「桶川北本インター」1㎞
JR高崎線「桶川」駅3.8㎞
接道
その他
資材置場・車両置場・伐採伐根更地渡し・分割相談 -
SG-0066
売土地所在地
埼玉県比企郡川島町大字三保谷宿現況
上物有用途地域
調整区域建蔽率
60%容積率
200%
価格/坪単価
1,500万円
/3.60万円面積(坪)
- 土地
- 413坪
- 建物
交通
圏央道「川島インター」3.9㎞
東武東上線「川越」駅10.3㎞
接道
北4.5mその他
診療所・資材置場・車両置場 -
SG-0001
売土地所在地
埼玉県狭山市大字笹井現況
更地用途地域
調整区域建蔽率
60%容積率
200%
価格/坪単価
5,980万円
/5.50万円面積(坪)
- 土地
- 1081.89坪
- 建物
交通
圏央道「狭山日高インター」2.5㎞
西武新宿線「狭山市」駅2.5㎞
接道
南東8.1mその他
資材置場・車両置場用地・建物建築不可 -
SG-0028
売土地所在地
埼玉県比企郡川島町大字戸守現況
更地用途地域
調整区域建蔽率
容積率
価格/坪単価
780万円
/4万円面積(坪)
- 土地
- 197坪
- 建物
交通
圏央道「川島インター」3.6㎞
東武東上線「高坂」駅4㎞
接道
東12mその他
資材置場・車両置場 -
SG-0015
売土地所在地
埼玉県白岡市柴山現況
上物有用途地域
調整区域建蔽率
60%容積率
200%
価格/坪単価
2,800万円
/3.70万円面積(坪)
- 土地
- 758坪
- 建物
交通
圏央道「白岡菖蒲インター」3㎞
JR宇都宮線「白岡」駅7㎞
接道
東6mその他
資材置場・車両置場 -
SG-0041
売土地所在地
埼玉県北葛飾郡松伏町現況
更地用途地域
調整区域建蔽率
60%容積率
200%
価格/坪単価
4,800万円
/2.70万円面積(坪)
- 土地
- 1792坪
- 建物
交通
常磐「流山インター」10㎞
東武伊勢崎線「せんげん台」駅6.7㎞
接道
その他
資材置場・車両置場 -
SG-0019
売土地所在地
埼玉県日高市駒寺野新田現況
更地用途地域
調整区域建蔽率
容積率
価格/坪単価
5,200万円
/8万円面積(坪)
- 土地
- 651坪
- 建物
交通
圏央道「圏央鶴ヶ島インター」2.5㎞
東武生越線「西大家」駅2㎞
接道
北東11m 南東4mその他
両面道路・資材置場・車両置場用地
